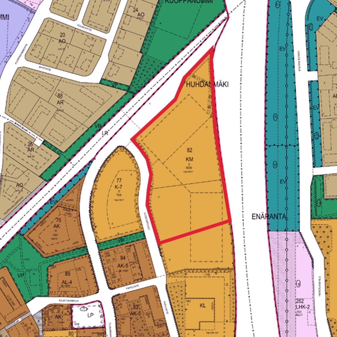
Kyöstinpolku 1, Nummela

Liikerakennusten tontti

Kyöstinpolku 1, 03100 Nummela

   
Pinta-ala

34 084 m²

Rakennusoikeus

8 159 k-m²

Kaavamerkintä

KM (liikerakennusten korttelialue, jolle saa sijoittaa vähittäiskaupan suuryksikön)

Kiinteistötunnus

927-406-20-41

Liikerakennusten tontti Nummelan keskustassa Porintien varressa hyvällä näkyvyydellä, rakennusoikeus 8 159 k-m²

Tontti sijaitsee Nummelan keskustan kaupallisesta keskittymässä. Tontilta on erinomainen näkyvyys viereiselle Valtatie 2:lle. Kohteen vieressä sijaitsee Tokmanni ja McDonald’s Lähistöllä sijaitsee lisäksi useita tilaa vievän kaupan yksiköitä kuten K-Rauta, K-Citymarket, Jysk, Intersport, Prisma, ja Lidl. Alueella sijaitsee myös useita pienempiä kauppoja.

Tontti on merkitty lainvoimaisessa asemakaavassa tunnuksella KM (Liikerakennusten korttelialue, jolle saa sijoittaa vähittäiskaupan suuryksikön). Rakennusoikeutta on yhteensä 8 159 k-m²,  autopaikkavaatimus 1ap/40k-m². Kohde on mahdollista jakaa useammaksi pienemmäksi rakennuspaikaksi tai sen voi lohkoa pienemmiksi tonteiksi.

Tonttiin voit tutustua myös Vihdin karttapalvelussa.



Tontin sijainti

Määränpää:

Tontin kuvat

Ota yhteyttä ja kysy lisää

Markus Pesonen
Kiinteistösijoittaminen
Uusimaa

Yhteydenottolomake

Kuvaile tarpeesi mahdollisimman tarkasti viestikenttään, jotta viestisi ohjautuu oikealle henkilölle.